Get new listings emailed daily! Sign Up Login

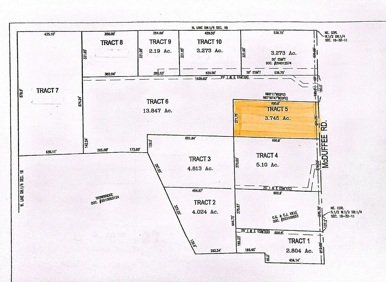
Tbd Mcduffee (tract 5) Road, Churubusco, IN 46723

$160,000.00
  • Tbd Mcduffee (tract 5) Road, Churubusco, IN 46723 Main Photo

2 Total Photos [Click to View All]

Featured Listing Cont-AccptngBackupOffers
LOT SIZE 3.745 acres MLS#202601080
STATUSCont-AccptngBackupOffers PROPERTY TYPELand - Farm SCHOOLNorthwest Allen County

Property Description

If you have been looking for LAND in the COUNTRY then THIS MIGHT BE IT! Northwest Allen County School District. There are additional lots available. Just outside of a SMALL TOWN with its conveniences, yet not far from the hustle bustle of Fort Wayne. Walking Property is by Appointment Only. *DO NOT PARK ON ANY DRIVEWAYS - THEY ARE NOT OWNED BY SELLER AND PRIVATELY OWNED BY ADJACENT PROPERTY OWNERS.

Property Features

Property Type: Land - Farm
Days on Market: 102
Lot Size: 3.74 Acres
Taxes: $119

Feature Descriptions

Location: Rural
Lot: Irregular, Tillable
Lot Dimensions: 600x301
Sewer: None
Water: None

Local Schools

High School: Carroll
Middle School: Carroll
Elementary School: Huntertown
School District: Northwest Allen County

Listed By / Shown By

agent picture

Listed By

Agency Name: King Realty, LLC
Agency Phone: (260) 385-3033
Agent Name: Nikki (Hilliard) King

Estimate Your Payment

Estimated Payment

$ 728.15 per month $671.57 Principal & Interest $9.92 Property Tax $46.67 Homeowner's Insurance

Change Payment Information

%
years/fixed
yearly
yearly (est.)
(Payments are an estimate and may vary by lender)

Login to My Homefinder

Pixel